Our Blog
Help document California’s incredible biodiversity with Snapshot Cal Coast
Snapshot Cal Coast is June 17-July 9! Help us document California's incredible biodiversity on your own or at a bioblitz event near you. Information provided by our partners at the California Academy of Sciences For two weeks every year, the California Academy of...
Dive in with Marine Applied Research and Exploration (MARE) to explore and document the seafloor
Dive in with Marine Applied Research and Exploration (MARE) to explore and document the seafloor. With a fleet of underwater submersibles, MARE explores deep ocean environments to support scientific research and education. MARE's remotely operated vehicles (ROVs) can...
MPA Collaborative Network Statewide Forum Summary – March 14, 2023
Thank you to all who were able to join us in person on March 14 in Monterey, CA for an MPA Collaborative Network Statewide Forum co-hosted with the California Marine Sanctuary Foundation. For those who couldn't make it, you were greatly missed and we hope to see you...
Streaming Option Now Available for March 15 MPA Day: Management Review Forum
The California Department of Fish and Wildlife (CDFW), in partnership with the California Ocean Protection Council and the California Fish and Game Commission, is hosting MPA Day: Management Review Forum (Forum) to share the findings and recommendations, of the...
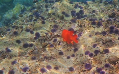
MPA Collaborative Network Launches New Climate Initiative
A garibaldi swims over an urchin barren, which is heavily disturbed habitat overrun by urchin and barren of kelp. Urchin barrens are exacerbated by climate change and are less resilient to environmental stress. Photo by Calla AllisonOverview Marine health and...
Sanctuary Exploration Center Manager, Santa Cruz, CA
Job DescriptionServes as the Center Coordinator responsible for the overall coordination, control and execution of the operations, education and interpretive programs of Monterey Bay National Marine Sanctuary's Exploration Center in Santa Cruz, CA. Oversees the day to...
Volunteer with The Marine Mammal Center
The Marine Mammal Center is recruiting volunteers for the Moss Landing office- animal husbandry, rescue, outreach. If you think any of our local members would be interested, please pass along! The deadline to sign up to apply is January 25....
A photographic tour of California’s marine protected areas
Take a virtual tour of California’s marine protected areas. Meet the otters, seals and incredible diversity of ocean life that call these protected ecosystems home.
Discover the statewide impact of the MPA Collaborative Network’s Compliance Initiative 2019-2022
The MPA Collaborative Network turns community input into action! The MPA Collaborative Network’s Compliance Initiative, supported by Ocean Protection Council (OPC) Once-Through Cooling Mitigation funds, and in partnership with the California Department of Fish and...
Available Now! MPA Decadal Management Review Report
The California Department of Fish and Wildlife (CDFW) is pleased to announce that the first Marine Protected Area (MPA) Decadal Management Review (Review) report is now available!
Emerald Bay Outdoor Academy hiring multiple positions!
The Emerald Bay Outdoor Academy is a youth science education program based at Camp Emerald Bay on Catalina Island and operated by the Western Los Angeles County Council, Boy Scouts of America. Our mission is to inspire the next generation of environmental stewards...
Monterey Bay National Marine Sanctuary seeks a new Sanctuary Exploration Center Manager
Monterey Bay National Marine Sanctuary seeks a new Sanctuary Exploration Center Manager About the Position: The Sanctuary Exploration Center Manager serves as the Center Coordinator responsible for the overall coordination, control and execution of the operations,...










